La tercera tormenta invernal y el frente frío número 31 afectarán a México

WhatsApp Image 2026-01-24 at 08.14.41

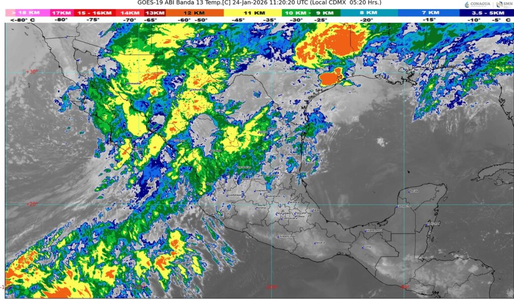
#NACIONAL🇲🇽 II Buenos días ☀️ ll El Servicio Meteorológico Nacional informa que hoy, la tercera tormenta invernal y el frente número 31 recorrerán el noroeste de México, interaccionarán con el frente frío número 30 y su masa de aire ártico sobre el norte y noreste del país, además de un río atmosférico, mantendrán temperaturas frías a gélidas, vientos fuertes a intensos y lluvias fuertes a muy fuertes en los estados del noroeste, norte y noreste de México, con lluvias puntuales intensas en Durango.

También se pronostica caída de nieve o aguanieve en sierras de Baja California, Sonora, Chihuahua, Sinaloa, Durango y Coahuila; y lluvia engelante en Zacateca.

Se prevé que el frente frío número 31 se disipe en el transcurso de la tarde. El arrastre de humedad favorecido por el río atmosférico, ocasionará lluvias y chubascos en el occidente del país, con lluvias puntuales fuertes en Nayarit.

El ingreso de humedad proveniente del océano Pacífico generará lluvias y chubascos en el sur y sureste del territorio nacional.

Continuará el ambiente frío a muy frío durante la mañana y noche, con bancos de niebla matutinos sobre entidades de la Mesa Central, incluido el Valle de México.